ブルーベリージャムは美味しい

大磯でブルーベリージャムを作り、販売しています。 生で食べても美味しそうな実とグラニュー糖だけを使い手作りしています。 ブルーベリーは農薬不使用で自家栽培しています。 今年もOISOコネクトさんや当園で販売していますので どうぞごひいきください。
 
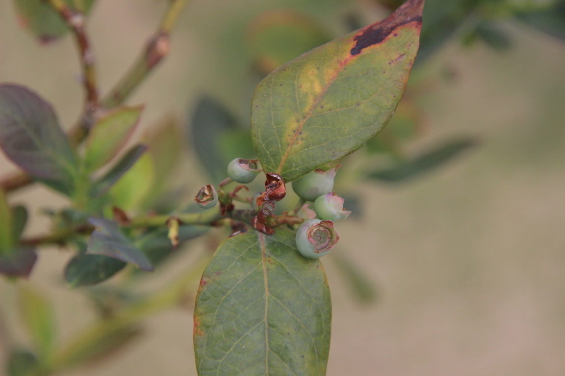
2025/08/01 10:26:01|その他
暑さの影響が心配です
年間で最も暑い真夏 大暑(たいしょ)の候 
蝉時雨 スイカ 土用のウナギ 蛍 風鈴 …

スイカの苗も張り切って植えましたが
大きくなり出したらカラスにいただかれちゃいました。
1本だけ植えた「マクワウリ」はたくさん実っています。
カラスは黄色が見えないらしいです。おいしくないのかもしれません。

@ たくさん実ったマクワウリは大きいです。甘みがほんのり、おいしいです。

A ブルーベリーも主力のラビットアイ系がたくさん採れています。採り手が暑さで疲れ気味です。水やりにも手がかかります。

B 結構おいしいです。ブライトウエルパウダーブルー
最盛期です。

困ったことに、暑さと小雨が続いて木がばてています。
実が萎びて、品質劣化がおきそうなので、遮光ネットを
張りました。もっとたくさん張りたいけれど、台風台風
来そうなので。

大磯コネクトさんでのジャム販売を始めました。








































B 



 







2025/06/12 22:43:02|その他
ブルーベリーの収穫6/12

ご無沙汰しています。
少しずつですが当園のブルーベリーの収穫が始まりました。

@ 今年は春先から低温が続きましたが、ようやく1日にこれくらいは採れるようになりました。サザンハイブッシュ系です。5本しかないうえに、ムク鳥にすっかり取られてしまい、防鳥ネットをあわてて張りました。

A ノーザンハイブッシュ系です。
甘みよりもうまみと酸味ですね。粒も大きくて、好みです。
これからは、チャンドラーなどのノーザンハイブッシュ系
採れ始めるので楽しみです。ノーザンハイブッシュ系も1本当たりの収穫量は少なめです。


B 主力のラビットアイ系も順調に育っています。
2月末の骨粉・油かすの有機肥料が活きているようです。
どの木も太く大きくなってきました。
やはり、地植えが頼りになります。黄金虫の影響もありません。
無農薬栽培にこだわっているので、鉢栽培には限界を感じています。

C 新じゃがはおいしいです。水分が豊富に含まれているからだそうです。

今年はブルーベリー豊作が期待されますが、3〜5月の低温傾向で受粉・結実が2週間は遅れ、6月半ばに予定していたジャムの製造・販売7月上旬に遅れそうです。
ご要望をいただいている皆様方には申し訳けありません。
よろしくお願いします。


 
 







2025/05/20 21:10:22|その他
野菜苗 ようやく植えました
ミニトマト なす ピーマン あまなが唐辛子 
オクラ キュウリ カボチャ 枝豆 ショウガ 等 
夏野菜苗を植えました
家庭菜園での自家用です

@ ミニトマト なす ピーマン あまながとう 
  キュウリ  枝豆
  なす科の連作に注意しました 
  ジャガイモもなす科です
  キュウリは、ゴーヤの後は避けました
  豆科も連作障害を起こします
  
A オクラを植えました
  オクラも連作不可です
  カボチャは連作可能です

B ショウガを植え付けました
  連作はできません
  画面左のニンジンの元気がよいですチョキ 
  間引きして酢漬けにしました

  右のネギはネギ坊主が出ました
  へんな時期のネギ苗を買って植えて後悔しました
  寒さに当たった苗は暖かくなるとネギ坊主がグングン

  お彼岸頃に種まきしたネギの苗は順調に育っています
  

ようやく植え終わりほっとしました矢印左下

最近、野菜のお値段にびっくりすることがあります。
家計の足しになればよいかなと思いますが、
それ以上に税のかかるいやな世の中です困った





 







2025/05/14 22:34:25|その他
BB一番果?早いですね

@ 5月14日 早くも一番果?今日は暑かったです。ブルーベリーの季節到来!

A サザンハイブッシュ系がポツポツと色づき始めてきました。1週間後にはいただけるかもしれません。
まともに採れるザンハイブッシュは5本くらいしかないので、少し採れたら一休みでしょう。

B これは、まだまだですね。でも、今年の実付きはとてもよいです。近くに同系統の鉢を置いていたから?

C ラビットアイの主力はまだこんなです。10日ほど前に受粉したばかりです。しっかりと上を向いて、ふくらみ始めています。収穫は8月始め頃ですかね。
この木は5kgは採れそうです。(捕らぬ狸の…です)


さすがに、もうミツバチさんはどこかに行きました。

ジャムの製造販売は6月上旬からです。
できあがったら、このブログでお知らせします。


 







2025/05/04 21:07:27|その他
ようやく受粉ほぼ完了です


@ ミツバチがまだ来ています。ブルーベリーの花はそろそろ終わりです。例年よりも2週間ほど遅いです。
A クマバチも数匹います。4月20日頃から毎日数匹が熱心に働いています。助かります。例年は4月第1週には来ています。
B サザンハイブッシュ系は自家受粉できますので、もうこんなにしっかりとした実になっています。
C じつは早生のラビットアイ系も少しずつ育っています。

いや〜楽しみです。

今日は5月4日
例年、桜の花が終わってから1〜2週間後の4月の中旬がミツバチのピークです。
今年は、3月の低温でだいぶ遅れ、4月下旬から少しずつ来てくれています。
昨日と今日は天気もよいので、かなりのミツバチを見ます。
奥にある未受粉の花まで来てくれています。これはこれで、受粉率が高くなるかもしれません。
自然に任せるしかないですね。今年はどうなるでしょうか。

2月中頃から「油かすと骨粉」を各株元に施していました。その効果が出てきたのか、どの木も樹体が大きくなってきました。葉が出てきたので大きさに驚きます。
よい蜜が出ないと蜂も働き甲斐がないかと思い、専用液肥もこの2週間施しています。
受粉しなくてもブルーベリーの花は2週間程度で落下するといわれています。(もう少し保っているとは思います。)
落花し、受粉した実は上を向くといわれます。本当でしょうか?






 







[ 1 - 5 件 / 271 件中 ] 次の5件 >>